- CITY GUIDE
- PODCAST
-
11°
108 νεκροί από τον Μάθιου στην Αϊτή ενώ ο τυφώνας πλησιάζει στην Φλόριντα (video)
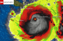
Τουλάχιστον 108 άνθρωποι έχασαν τη ζωή τους από το πέρασμα του τυφώνα Matthew από την Αϊτή, τη στιγμή που ο τυφώνας πλησιάζει τις ακτές της Φλόριντα στις Ηνωμένες Πολιτείες.
Τον αριθμό των νεκρών ανακοίνωσε στο Γαλλικό Πρακτορείο Ειδήσεων και το Associated Press ο υπουργός Εσωτερικών της φτωχής χώρας, Φρανσουά Ανίκ Ζοζέφ.
Πηγές του βρετανικού Sky News αναφέρουν ότι οι νεκροί ανέρχονται σε τουλάχιστον 136. Ο αριθμός των νεκρών δεν αποκλείεται να αυξηθεί, με δεδομένο ότι ακόμα δεν υπάρχει πλήρης εικόνα των καταστροφών στο νησί.
Οι καταστροφές στην Αϊτή ήταν τόσο μεγάλες που οι Αρχές υποχρεώθηκαν να αναβάλουν τις προεδρικές εκλογές, που ήταν προγραμματισμένες για την ερχόμενη Κυριακή.
The site of the collapsed bridge in Petit Goave #Haiti. #MatthewHaiti pic.twitter.com/m8zSetMxgb
— Jacqueline Charles (@Jacquiecharles) 6 Οκτωβρίου 2016
Τέσσερις ακόμα άνθρωποι σκοτώθηκαν από την κακοκαιρία στη Δομινικανή Δημοκρατία.
Ο Μάθιου έχει ενισχυθεί ξανά σε τυφώνα επιπέδου 4, αφότου νωρίτερα είχε υποβαθμιστεί στο επίπεδο 3, και πλησιάζει πλέον τις ακτές των ΗΠΑ. Φέρνει μαζί του ανέμους που κινούνται με ταχύτητα 220 χιλιομέτρων ανά ώρα και σφοδρές βροχοπτώσεις.
Οι Αρχές των πολιτειών της Φλόριντα και της Νότιας Καρολίνας, που αναμένεται να βρεθούν στη διαδρομή του τυφώνα, έχουν συστήσει ή διατάξει την απομάκρυνση περίπου δύο εκατομμυρίων κατοίκων από τις παραθαλάσσιες ζώνες.
Ο κυβερνήτης της Φλόριντα, Ρικ Σκοτ, προειδοποίησε τους κατοίκους που διστάζουν να εγκαταλείψουν τις εστίες τους ότι υπάρχει κίνδυνος θανάτου. «Απλώς σκεφτείτε όλους τους ανθρώπους που έχουν σκοτωθεί [...] Ο χρόνος εξαντλείται», δήλωσε ο κ. Σκοτ κατά τη διάρκεια συνέντευξης Τύπου.
Florida Gov. Rick Scott on Hurricane #Matthew: "Evacuate, evacuate, evacuate... This is going to kill people." https://t.co/6IATus5feM pic.twitter.com/EaLUpe33iC
— CNN (@CNN) 6 Οκτωβρίου 2016
ΠΡΟΣΦΑΤΑ
ΤΑ ΠΙΟ ΔΗΜΟΦΙΛΗ
ΔΙΑΒΑΖΟΝΤΑΙ ΠΑΝΤΑ
ΔΕΙΤΕ ΕΠΙΣΗΣ
Νεκρός ο 12χρονος που είχε δεχθεί επίθεση καρχαρία στο Σίδνεϊ
Αποκαλεί «οπλοφόρο» τον 37χρονο που πυροβολήθηκε εν ψυχρώ από πράκτορες της ICE
«Είχε νόμιμη άδεια οπλοκατοχής» απαντά η αστυνομία
Σύμφωνα με την Telegraph, σε πολλές περιπτώσεις όσοι μολύνονται πέφτουν σε κώμα
Ο Τιμ Γουόλς ζητά τον άμεσο τερματισμό των ομοσπονδιακών επιχειρήσεων
Πιθανός νέος γύρος συνομιλιών με Ρωσία και ΗΠΑ
Αυξάνονται οι φόβοι για επικείμενη αμερικανική επίθεση
Μετά την ανακοίνωση εμπορικής συμφωνίας με την Κίνα από τον Καναδό πρωθυπουργό
Οργή στη Δανία για τις δηλώσεις - «Είμαστε η χώρα με τις μεγαλύτερες απώλειες ανά κάτοικο», απαντά η πρωθυπουργός
Χάος από χιονοπτώσεις και πλημμύρες σε όλη τη χώρα - Εκατοντάδες τραυματίες και ισοπεδωμένες κατοικίες
Επίσημη διαμαρτυρία της κυβέρνησης Μελόνι για την απόφαση των ελβετικών αρχών
Απάτη-μαμούθ - Πώς οδηγήθηκε σε οικονομική καταστροφή
Ανοιχτή επιστολή προς τους ηγέτες στο Νταβός για μείωση των ανισοτήτων - «Έχουν εξαγοράσει τις δημοκρατίες μας»
Μετέφεραν παιδί και πατέρα σε κέντρο κράτησης στο Τέξας - «Απανθρωπιά πέρα από λόγια»
Μαζικές επιθέσεις με drones και πυραύλους πλήττουν τις δύο μεγαλύτερες ουκρανικές πόλεις
Η αντίληψη των Αμερικανών για τη Νέα Τάξη των «δικών τους» Πραγμάτων
Η Ουάσινγκτον λέει ότι στόχος ήταν σκάφος ναρκοδιακίνησης - Πρώτη επίθεση μετά τη σύλληψη Μαδούρο
Ο λαϊκισμός και το εθνικό πολιτικό κόστος μπλόκαραν την ευρωπαϊκή στρατηγική
Νοσηλευόταν σε κρίσιμη κατάσταση - Συγκλονισμένη η οικογένειά του
Σάλος με τα σχόλια του Αμερικανού προέδρου - «Προσβλητικά και απαράδεκτα» λέει ο Στάρμερ
Έχετε δει 20 από 200 άρθρα.