- CITY GUIDE
- PODCAST
-
12°
Αϊτή: Τουλάχιστον 25 άνθρωποι έχασαν τη ζωή τους από πλημμύρες που προκάλεσε ο τυφώνας Μελίσσα
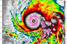
Εικόνες καταστροφής σε όλη την Καραϊβική
Τυφώνας Μελίσσα: Τουλάχιστον 25 νεκροί από πλημμύρες στην Αϊτή – Εικόνες απόλυτης καταστροφής στην Τζαμάικα
Τουλάχιστον 25 άτομα, μεταξύ των οποίων 10 παιδιά, έχουν χάσει τη ζωή τους στις πλημμύρες των ποταμών στην Αϊτή, σύμφωνα με πληροφορίες που έδωσαν οι τοπικές αρχές στο πρακτορείο ειδήσεων AFP. Άλλα 10 άτομα αγνοούνται, σύμφωνα με την υπηρεσία πολιτικής άμυνας της χώρας από τον τυφώνα Μελίσσα ο οποίος συνεχίζει την επέλασή του χτυπώντας τις τελευταίες ώρες την Κούβα, έχοντας όμως σημαντική εξασθένιση.
Το φαινόμενο έχει αφήσει έως τώρα πίσω του νεκρούς στην Αϊτή, ολόκληρες πόλεις κάτω από το νερό, δεκάδες χιλιάδες κατοίκους εγκλωβισμένους, σπίτια ερείπια και υποδομές κατεστραμμένες, σύμφωνα με το ΑΠΕ-ΜΠΕ.
Just awful. Another footage coming from Bethel Town, Jamaica shows the devastating impact of Category 5 Hurricane #Melissa.
— ChaseWithHam (@Ham_BklynWx) October 29, 2025
The sheer wind strength has clearly overwhelmed much of the infrastructure.
Praying for the people of Bethel Town & all of Jamaica as they face this… pic.twitter.com/DYSFKTYkNy
Χωρίς ρεύμα η Τζαμάικα
Ο υπουργός Παιδείας στη Τζαμάικα, Μόρις Ντίξον, γνωστοποίησε ότι το 77% της χώρας παραμένει χωρίς ηλεκτρικό ρεύμα.
Η εταιρεία κοινής ωφέλειας θα αρχίσει να αποκαθιστά την παροχή ηλεκτρικού ρεύματος σε περιοχές όπου οι ζημιές είναι ελάχιστες.
Η δυτική πλευρά του νησιού έχει πληγεί περισσότερο, ενώ άλλες περιοχές, συμπεριλαμβανομένης της πρωτεύουσας, έχουν υποστεί ελάχιστες ζημιές.
Ο πρωθυπουργός θα επισκεφθεί τις περιοχές που έχουν πληγεί περισσότερο αργότερα σήμερα.
Τα συστήματα ύδρευσης φαίνεται να άντεξαν κατά τη διάρκεια της νύχτας, με την κυβέρνηση να εκτιμά ότι 70 από τα 700 συστήματα ύδρευσης της Τζαμάικας έχουν υποστεί βλάβη.
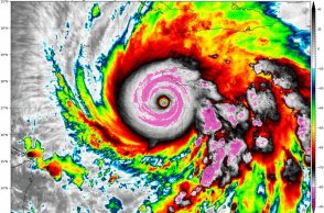
A 3D satellite depiction of #Hurricane #Melissa as it crossed #Jamaica. 😳 pic.twitter.com/Pd1l7hUtxO
— Mike Bettes (@mikebettes) October 28, 2025
Ζημιές και στην Κούβα
Μετά την Τζαμάικα, η Κούβα ήταν το επόμενο θύμα της Μελίσσας. Ήδη αντιμετωπίζει έλλειψη τροφίμων, καυσίμων, ηλεκτρικού ρεύματος και φαρμάκων.
Ο τυφώνας Μελίσσα έπληξε την Κούβα σήμερα το πρωί με ανέμους ταχύτητας 115 μιλίων ανά ώρα και ισχυρές βροχοπτώσεις, αλλά τώρα έχει περάσει από το νησί και κατευθύνεται προς τον νοτιοδυτικό Ατλαντικό.
Ο πρόεδρος της χώρας έκανε λόγο για «σημαντικές ζημιές».
Hurricane Melissa category 5 - the strongest storm to strike Jamaica in 174 years .
— Rohit Jain 🇮🇳 (@Rohitjain2799) October 29, 2025
Look at these devastating video coming from all over Jamaica.#Jamaica #Melissa #Hurricane pic.twitter.com/FAkhVrM5oc
Προς τις Μπαχάμες ο τυφώνας Μελίσσα
Οι Μπαχάμες είναι ο επόμενος προορισμός της Μελίσσα, προειδοποιεί το CNN.
Ο τυφώνας προβλέπεται να περάσει μεταξύ — ή ενδεχομένως πάνω από — το Λονγκ Άιλαντ και το Κρουκέντ Άιλαντ αργότερα το απόγευμα και το βράδυ.
Έχουν εκδοθεί προειδοποιήσεις για τυφώνα για τις κεντρικές και νοτιοανατολικές Μπαχάμες, ενώ για τις γειτονικές νήσους Τερκς και Κάικος έχει εκδοθεί προειδοποίηση για τροπική καταιγίδα.
Ο Ερυθρός Σταυρός δήλωσε ότι οι πρώτες ενδείξεις δείχνουν ότι ο τυφώνας Μελίσσα ήταν μια «καταστροφή χωρίς προηγούμενο».
Ο Αλεξάντερ Πέντρι, διευθυντής παγκόσμιας ανταπόκρισης του Βρετανικού Ερυθρού Σταυρού, δήλωσε ότι οι ομάδες περιμένουν την αυγή στην Τζαμάικα, ώστε να μπορέσουν να εκτιμήσουν την πλήρη έκταση των ζημιών.
ΠΡΟΣΦΑΤΑ
ΤΑ ΠΙΟ ΔΗΜΟΦΙΛΗ
ΔΙΑΒΑΖΟΝΤΑΙ ΠΑΝΤΑ
ΔΕΙΤΕ ΕΠΙΣΗΣ
Σύμφωνα με την Telegraph, σε πολλές περιπτώσεις όσοι μολύνονται πέφτουν σε κώμα
Ο Τιμ Γουόλς ζητά τον άμεσο τερματισμό των ομοσπονδιακών επιχειρήσεων
Πιθανός νέος γύρος συνομιλιών με Ρωσία και ΗΠΑ
Αυξάνονται οι φόβοι για επικείμενη αμερικανική επίθεση
Μετά την ανακοίνωση εμπορικής συμφωνίας με την Κίνα από τον Καναδό πρωθυπουργό
Οργή στη Δανία για τις δηλώσεις - «Είμαστε η χώρα με τις μεγαλύτερες απώλειες ανά κάτοικο», απαντά η πρωθυπουργός
Χάος από χιονοπτώσεις και πλημμύρες σε όλη τη χώρα - Εκατοντάδες τραυματίες και ισοπεδωμένες κατοικίες
Επίσημη διαμαρτυρία της κυβέρνησης Μελόνι για την απόφαση των ελβετικών αρχών
Απάτη-μαμούθ - Πώς οδηγήθηκε σε οικονομική καταστροφή
Ανοιχτή επιστολή προς τους ηγέτες στο Νταβός για μείωση των ανισοτήτων - «Έχουν εξαγοράσει τις δημοκρατίες μας»
Μετέφεραν παιδί και πατέρα σε κέντρο κράτησης στο Τέξας - «Απανθρωπιά πέρα από λόγια»
Μαζικές επιθέσεις με drones και πυραύλους πλήττουν τις δύο μεγαλύτερες ουκρανικές πόλεις
Η αντίληψη των Αμερικανών για τη Νέα Τάξη των «δικών τους» Πραγμάτων
Η Ουάσινγκτον λέει ότι στόχος ήταν σκάφος ναρκοδιακίνησης - Πρώτη επίθεση μετά τη σύλληψη Μαδούρο
Ο λαϊκισμός και το εθνικό πολιτικό κόστος μπλόκαραν την ευρωπαϊκή στρατηγική
Νοσηλευόταν σε κρίσιμη κατάσταση - Συγκλονισμένη η οικογένειά του
Σάλος με τα σχόλια του Αμερικανού προέδρου - «Προσβλητικά και απαράδεκτα» λέει ο Στάρμερ
Ξεχωριστή θέση στη συλλογή είχε ένα μοναδικό δοχείο και κουτάλι, έργο του αργυροχόου Μαρσέλ Μπλοκ
Παράλληλα, η Ουκρανία επανήλθε στο προσκήνιο με την άφιξη του Βολοντίμιρ Ζελένσκι
Η καταγγελία είχε κατατεθεί στις 5 Ιανουαρίου
Έχετε δει 20 από 200 άρθρα.