- CITY GUIDE
- PODCAST
-
11°
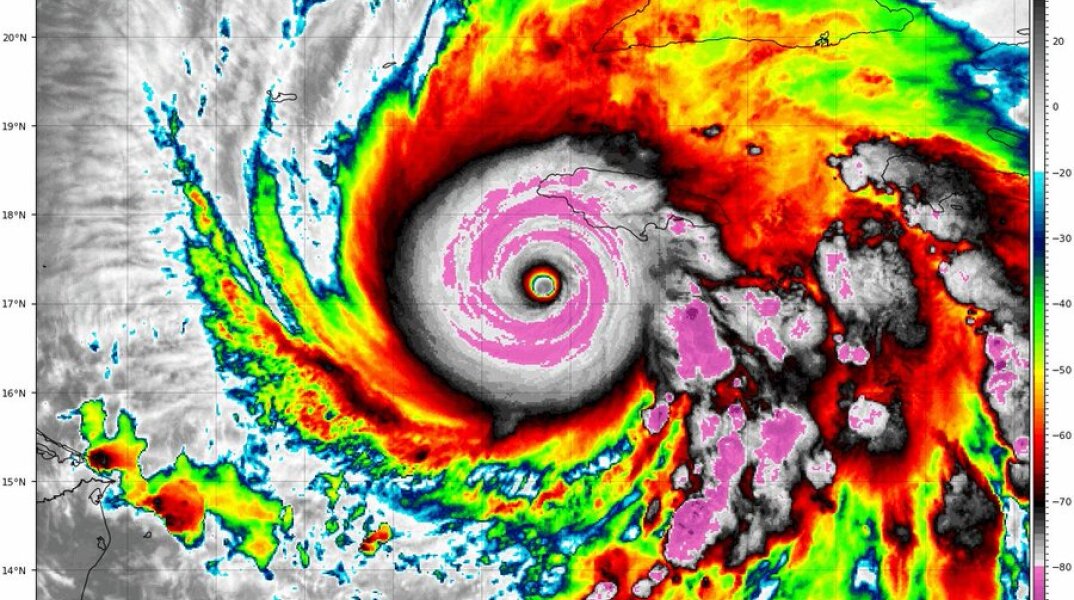
Ο κυκλώνας-τέρας «Μέλισσα» σαρώνει την Τζαμάικα με ανέμους 175 μιλίων/ώρα – Ισχυρότερος και από τον «Κατρίνα»
Μέχρι στιγμής έχουν καταγραφεί τρεις νεκροί και δεκάδες τραυματίες
Ο «Μέλισσα» περικυκλώνει την Τζαμάικα με ανέμους 175 μιλίων/ώρα – Ισχυρότερος και από τον «Κατρίνα»
Ο κυκλώνας Melissa πλησιάζει με καταστροφική ένταση την Τζαμάικα, έχοντας ήδη ξεπεράσει σε ισχύ τον τυφώνα Κατρίνα του 2005. Με κεντρική πίεση 901 millibars και ανέμους 175 μιλίων/ώρα (περίπου 280 χλμ/ώρα), ο Melissa κατατάσσεται πλέον ανάμεσα στους οκτώ ισχυρότερους Ατλαντικούς τυφώνες που έχουν ποτέ καταγραφεί.
Σύμφωνα με την Washington Post, η μετεωρολογική υπηρεσία των ΗΠΑ και οι αρχές της Τζαμάικα προειδοποιούν ότι η χώρα αντιμετωπίζει τον μεγαλύτερο κίνδυνο των τελευταίων δεκαετιών. Ο κυκλώνας αναμένεται να πλήξει κυρίως τις κεντρικές και δυτικές ακτές του νησιού, με κύματα που μπορεί να ξεπεράσουν τα τέσσερα μέτρα και καταιγίδες που θα σαρώσουν παράκτιες πόλεις και τουριστικά θέρετρα. Ο πρωθυπουργός Άντριου Χόλνες περιέγραψε την κατάσταση ως «άνευ προηγουμένου» και παραδέχτηκε ότι «καμία υποδομή δεν μπορεί να αντέξει έναν τυφώνα Κατηγορίας 5».
Μέχρι στιγμής έχουν καταγραφεί τρεις νεκροί και δεκάδες τραυματίες, κυρίως από ατυχήματα κατά τη διάρκεια προετοιμασιών για την καταιγίδα. Οι αρχές εκτιμούν ότι πάνω από 50.000 κάτοικοι θα χρειαστεί να μετακινηθούν σε καταφύγια, ωστόσο η προσέλευση παραμένει χαμηλή, γεγονός που προκαλεί ανησυχία.
Hurricane #Melissa 9AM EDT Update: @53rdWRS find Melissa stronger as the northern eyewall is approaching the southern coast of Jamaica. For the latest visit https://t.co/tW4KeGe9uJ pic.twitter.com/y2xUCDsFVe
— National Hurricane Center (@NHC_Atlantic) October 28, 2025
BREAKING: Category 5 Hurricane Melissa has achieved a new peak intensity of 180 MPH sustained winds and a core pressure of 896 MBAR.
— Backpirch Weather (@BackpirchCrew) October 28, 2025
She is officially the 5TH MOST INTENSE Atlantic Hurricane in history and is nearing the maximum theoretical strength a storm can reach in this… pic.twitter.com/9wKklxID4M
A display of pure power from Hurricane Melissa today.
— Dakota Smith (@weatherdak) October 28, 2025
Remarkable satellite imagery. pic.twitter.com/TpBvmdZxlw
Η βροχόπτωση αναμένεται να φτάσει τα 100 εκατοστά στις ορεινές περιοχές, με αποτέλεσμα να υπάρχει υψηλός κίνδυνος πλημμυρών και κατολισθήσεων. Ταυτόχρονα, η θαλάσσια καταιγίδα απειλεί να παρασύρει παράκτιες υποδομές, ενώ ο τουρισμός – ο οποίος συνεισφέρει σχεδόν το ένα τρίτο στο ΑΕΠ της χώρας – κινδυνεύει να δεχθεί ισχυρό πλήγμα.
Μετά την Τζαμάικα, ο Melissa προβλέπεται να χτυπήσει την νοτιοανατολική Κούβα, τις Μπαχάμες και ενδεχομένως τις Βερμούδες, ενώ τμήμα της ενέργειάς του θα μπορούσε να τροφοδοτήσει καταιγίδες στις ανατολικές ακτές των ΗΠΑ.
Η καταιγίδα εντάσσεται στο ανησυχητικό φαινόμενο των ολοένα ισχυρότερων κυκλώνων στον Ατλαντικό, που συνδέεται από επιστήμονες με την κλιματική αλλαγή και τη θέρμανση των ωκεανών.
Πηγή: Washington Post
ΠΡΟΣΦΑΤΑ
ΤΑ ΠΙΟ ΔΗΜΟΦΙΛΗ
ΔΙΑΒΑΖΟΝΤΑΙ ΠΑΝΤΑ
ΔΕΙΤΕ ΕΠΙΣΗΣ
Νεκρός ο 12χρονος που είχε δεχθεί επίθεση καρχαρία στο Σίδνεϊ
Αποκαλεί «οπλοφόρο» τον 37χρονο που πυροβολήθηκε εν ψυχρώ από πράκτορες της ICE
«Είχε νόμιμη άδεια οπλοκατοχής» απαντά η αστυνομία
Σύμφωνα με την Telegraph, σε πολλές περιπτώσεις όσοι μολύνονται πέφτουν σε κώμα
Ο Τιμ Γουόλς ζητά τον άμεσο τερματισμό των ομοσπονδιακών επιχειρήσεων
Πιθανός νέος γύρος συνομιλιών με Ρωσία και ΗΠΑ
Αυξάνονται οι φόβοι για επικείμενη αμερικανική επίθεση
Μετά την ανακοίνωση εμπορικής συμφωνίας με την Κίνα από τον Καναδό πρωθυπουργό
Οργή στη Δανία για τις δηλώσεις - «Είμαστε η χώρα με τις μεγαλύτερες απώλειες ανά κάτοικο», απαντά η πρωθυπουργός
Χάος από χιονοπτώσεις και πλημμύρες σε όλη τη χώρα - Εκατοντάδες τραυματίες και ισοπεδωμένες κατοικίες
Επίσημη διαμαρτυρία της κυβέρνησης Μελόνι για την απόφαση των ελβετικών αρχών
Απάτη-μαμούθ - Πώς οδηγήθηκε σε οικονομική καταστροφή
Ανοιχτή επιστολή προς τους ηγέτες στο Νταβός για μείωση των ανισοτήτων - «Έχουν εξαγοράσει τις δημοκρατίες μας»
Μετέφεραν παιδί και πατέρα σε κέντρο κράτησης στο Τέξας - «Απανθρωπιά πέρα από λόγια»
Μαζικές επιθέσεις με drones και πυραύλους πλήττουν τις δύο μεγαλύτερες ουκρανικές πόλεις
Η αντίληψη των Αμερικανών για τη Νέα Τάξη των «δικών τους» Πραγμάτων
Η Ουάσινγκτον λέει ότι στόχος ήταν σκάφος ναρκοδιακίνησης - Πρώτη επίθεση μετά τη σύλληψη Μαδούρο
Ο λαϊκισμός και το εθνικό πολιτικό κόστος μπλόκαραν την ευρωπαϊκή στρατηγική
Νοσηλευόταν σε κρίσιμη κατάσταση - Συγκλονισμένη η οικογένειά του
Σάλος με τα σχόλια του Αμερικανού προέδρου - «Προσβλητικά και απαράδεκτα» λέει ο Στάρμερ
Έχετε δει 20 από 200 άρθρα.