Τι προκάλεσε το εντυπωσιακό φαινόμενο
Κοσμος
Αυστραλία: Κόκκινος «αποκαλυπτικός» ουρανός πριν τον κυκλώνα Narelle
Τι προκάλεσε το εντυπωσιακό φαινόμενο
Προχωρούν τα έργα αποκατάστασης στη Θεσσαλία
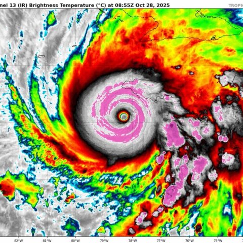
Περισσότεροι από 30 εκατομμύρια άνθρωποι βρέθηκαν εκτεθειμένοι στον κίνδυνο
Σε κατάσταση έκτακτης ανάγκης η χώρα
Εικόνες καταστροφής σε όλη την Καραϊβική
Η Αϊτή κλείνει σχολεία και ανοίγει καταφύγια
Μέχρι στιγμής έχουν καταγραφεί τρεις νεκροί και δεκάδες τραυματίες
Εκτός λειτουργίας αεροδρόμια και λιμάνια – Σε επιφυλακή 400.000 πολίτες στην Κίνα