- CITY GUIDE
- PODCAST
-
11°
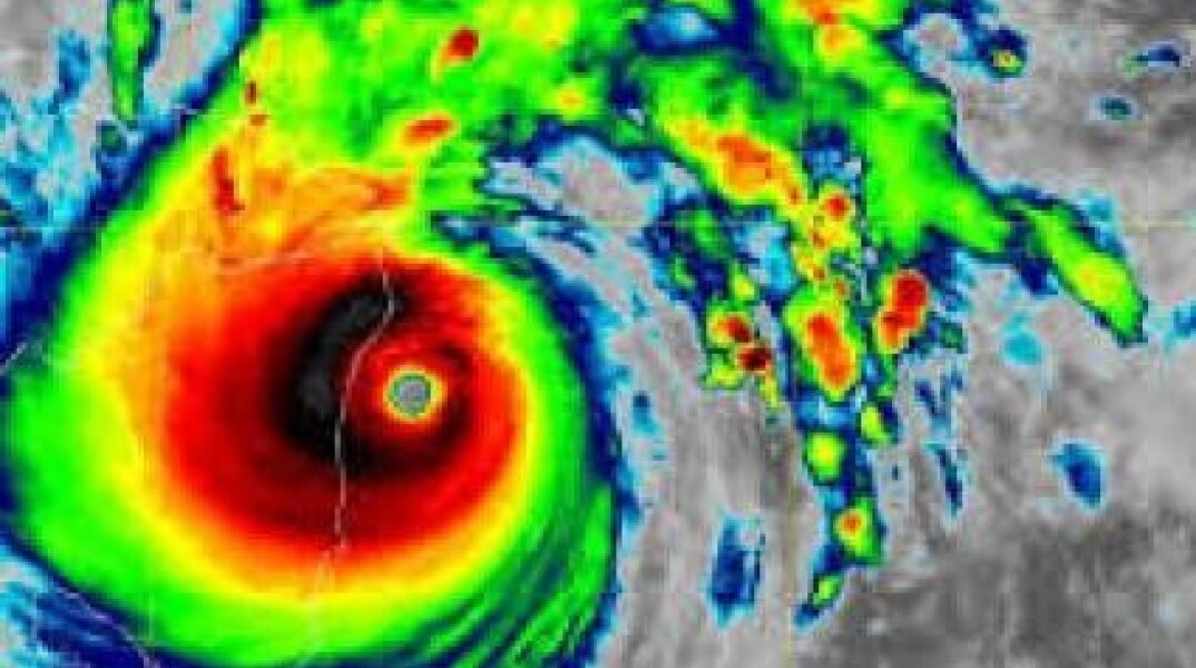
Κυκλώνες: Σταματά η χρήση του ελληνικού αλφαβήτου για «βαφτίσια»
Γιατί ο Παγκόσμιος Μετεωρολογικός Οργανισμός πήρε αυτή την απόφαση για την ονοματοδοσία των τροπικών κυκλώνων
Ο Παγκόσμιος Μετεωρογολογικός Οργανισμός αποφάσισε να σταματήσει τη χρήση του ελληνικού αλφάβητου για τα ονόματα των κυκλώνων
Σταματά η χρήση του ελληνικού αλφαβήτου για την ονοματοδοσία των τροπικών κυκλώνων φέτος. Αυτή την απόφαση έλαβε ο Παγκόσμιος Μετεωρολογικός Οργανισμός (ΠΜΟ).
Η αρμόδια Επιτροπή του ΠΜΟ έκρινε ότι η περσινή χρήση ονομάτων από τα ελληνικά γράμματα προκάλεσε σύγχυση και εστίασε την προσοχή περισσότερο στην «εξωτικότητα» των ελληνικών γραμμάτων παρά στον κίνδυνο που αντιπροσωπεύουν οι κυκλώνες. Επιπλέον, θεώρησε ότι το 2020 το «βάφτισμα» κυκλώνων με τα ονόματα «Ζήτα», «Ήτα» και «Θήτα», που ακούγονται παρόμοια (τουλάχιστον στα αυτιά των αγγλόφωνων...), προκάλεσε προβλήματα, ιδίως όταν συνέπεσαν να συμβαίνουν ταυτόχρονα δύο καταιγίδες με τέτοια ονόματα από ελληνικά γράμματα.
Το ελληνικό αλφάβητο έχει χρησιμοποιηθεί μόνο δύο φορές το 2005 και εννέα φορές το 2020 για την ονοματοδοσία τροπικών κυκλώνων του Ατλαντικού. Ειδικά πέρυσι κρίθηκε αναγκαία η χρήση του, επειδή υπήρχαν πολλοί κυκλώνες και είχαν εξαντληθεί τα προβλεπόμενα λατινικά ονόματα. Μετά τη νέα απόφαση του ΠΜΟ, φέτος ακόμη κι αν υπάρξουν περισσότεροι Ατλαντικοί κυκλώνες και καταιγίδες από τους 21 για τους οποίους έχουν προβλεφθεί αγγλικά ονόματα, οι μετεωρολόγοι δεν θα καταφύγουν ξανά στο ελληνικό αλφάβητο, αλλά θα χρησιμοποιήσουν άλλα ονόματα.
Ακολουθήστε την Athens Voice στο Google News κι ενημερωθείτε πρώτοι για όλες τις ειδήσεις
ΚΟΡΩΝΟΪΟΣ: Live updates - Τι πρέπει να ξέρουμε για τον κορωνοϊό- Συνεχής ενημέρωση εδώ
ΤΑ ΠΙΟ ΔΗΜΟΦΙΛΗ
ΔΙΑΒΑΖΟΝΤΑΙ ΠΑΝΤΑ
ΔΕΙΤΕ ΕΠΙΣΗΣ
Eναλλάξ διακοπές κυκλοφορίας σε δεξιά ή αριστερή λωρίδα
Οι βροχές των τελευταίων ημερών αύξησαν σημαντικά τα διαθέσιμα αποθέματα νερού
Δεν κινδυνεύει η ζωή της - Παραμένει στο νοσοκομείο για προληπτικούς λόγους
Καταγγελίες για «πρόχειρα» έργα και μπαζώματα - «Καμία σχέση με πραγματικότητα» απαντά ο ΔΕΔΔΗΕ
Έφυγε από τη ζωή στα 77, αφήνοντας πίσω της μια πολυσυζητημένη δημόσια πορεία
Οι νέες θέσεις Α΄ και Β΄ υπαρχηγού και οι γενικοί συντονιστές Βόρειας και Νότιας Ελλάδας
Επιχείρηση της Συνοριακής Φύλαξης Σουφλίου σε επαρχιακή οδό - Πώς προσπάθησαν να αποφύγουν τους ελέγχους
Άνοδος της θερμοκρασίας και νότιοι άνεμοι έως 5 μποφόρ - Ποιες περιοχές θα επηρεαστούν από τις πρωινές ώρες
Καταρρίφθηκε το ρεκόρ ημερήσιου ύψους βροχής σε πολλές περιοχές της Αττικής
Το έργο αναμένεται να παρουσιαστεί στην εκπαιδευτική κοινότητα και το ευρύ κοινό
Την τελευταία του πνοή άφησε το βράδυ της Πέμπτης (22/1) ο Σπύρος Καρατζαφέρης
Βροχές, καταιγίδες και θυελλώδεις νοτιάδες έως 9 μποφόρ
Νέα πρωτοβουλία Columbia–ΕΜΠ γεφυρώνει έρευνα και αγορά, επενδύοντας στη νέα γενιά επιστημόνων
Τι αναφέρουν οι πρώτες πληροφορίες
Τα καταστήματα ΟΠΑΠ και PLAY περνούν στην εποχή της Allwyn, με νέο look & feel, διεθνή αέρα και εμπειρίες που κοιτούν μπροστά, χωρίς να αλλάζει τίποτα από όσα αγαπήσαμε
Τι αναφέρουν οι πρώτες πληροφορίες
Αιχμές για συγκάλυψη, σύγκριση με Ισπανία και αναφορές στο πολιτικό εγχείρημα που ετοιμάζει
Έχετε δει 20 από 200 άρθρα.