- CITY GUIDE
- PODCAST
-
17°
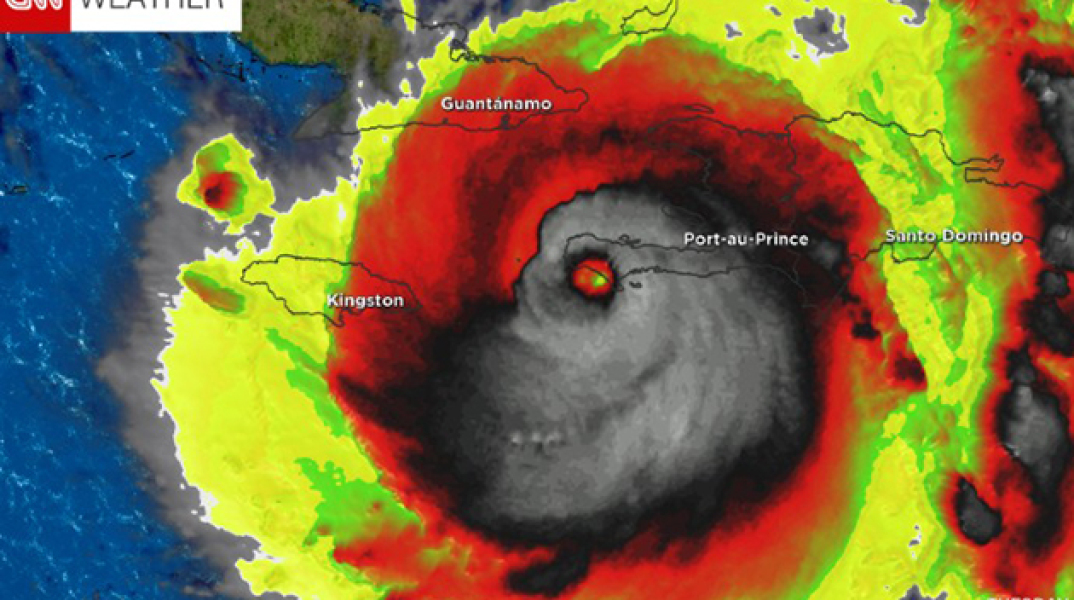
Βλέπετε τη νεκροκεφαλή στο «μάτι» του τυφώνα Μάθιου; (εικόνες)
Η δορυφορική εικόνα που έχει κατατρομάξει το διαδίκτυο
Ο τυφώνας Μάθιου είναι μια καταιγίδα «τέρας» και πλέον υπάρχει η σχετική εικόνα που το πιστοποιεί. Πήρε φωτιά το διαδίκτυο με την εικόνα του τυφώνα Μάθιου που μοιάζει με νεκροκεφαλή. Πρόκειται για δορυφορική εικόνα, την οποία ανέβασε στο διαδίκτυο ο μετεωρολόγος Στου Όστρο του καναλιού Weather Channel με αφορμή το καταστροφικό πέρασμα του τυφώνα από την Αϊτή.
Sinister-looking face of #HurricaneMatthew at landfall in #Haiti [Un-doctored #weather #satellite image] pic.twitter.com/hrviDVuJ3R
— Stu Ostro (@StuOstro) October 4, 2016
Η εικόνα δείχνει τον τυφώνα μέσω κάμερας με φακούς υπερύθρων και για αυτό παίρνει αυτά τα χρώματα. «Είναι ανατριχιαστικό», λέει ο μετεωρολόγος του CNN Τζάντσον Τζόουνς, και εξηγεί «οι επιστήμονες χρησιμοποιούν αυτούς τους έγχρωμους πίνακες για να εντοπίσουν το μάτι του τυφώνα».

ΤΑ ΠΙΟ ΔΗΜΟΦΙΛΗ
ΔΙΑΒΑΖΟΝΤΑΙ ΠΑΝΤΑ
ΔΕΙΤΕ ΕΠΙΣΗΣ
«Συγκεκριμένα μέτρα μείωσης των κινδύνων πρέπει να εφαρμοστούν»
Μέσα σε λίγα δευτερόλεπτα η φωτιά τέθηκε υπό έλεγχο χωρίς να προκαλέσει σοβαρό τραυματισμό
«Όπως βλέπετε, θα γεννήσω από στιγμή σε στιγμή», είπε στην τελευταία ενημέρωση πριν γίνει για δεύτερη φορά μητέρα
Θα σπάσει το ρεκόρ του Μαρκ Ζούκερμπεργκ;
Ο άνδρας παραδέχτηκε την πράξη του και εξήγησε ότι το έκανε «για πλάκα»
Σύμφωνα με το ιατρικό ανακοινωθέν η πληγή θα κλείσει σε περίπου έναν μήνα
Μήνυση από τη μετεωρολογική υπηρεσία της Γαλλίας
Η χώρα ελπίζει ότι με την ήττα του Όρμπαν τα δεδομένα θα αλλάξουν
Τα μέλη της συμμορίας είναι γεννημένα μεταξύ 2012 - 2015
Σε πλήρη πολεμικό συντονισμό Ισραήλ και ΗΠΑ
Οι κατηγορίες πριν και μετά τον θάνατο του τραγουδιστή
Ο δούκας του Σάσεξ απέτισε φόρο τιμής στα θύματα των σφαγών που αποδίδονται στον ρωσικό στρατό στην Μπούτσα
Ο Τζον Άμπεντσαϊν έβαλε τέλος στη ζωή του, μετά από σύλληψη για υλικό παιδικής πορνογραφίας
Αποκαλύψεις του BBC - Στέγαζε γυναίκες σε πολυτελή διαμερίσματα, ενώ η βρετανική αστυνομία αρνούνταν να τον ερευνήσει
Συνεχίζεται η πίεση των ΗΠΑ προς τους συμμάχους της
Τι κι αν το YouTube τον πετάει από την πλατφόρμα, ο influencer συνεχίζει τα ακραία challenges
Κύμα κυβερνοεπιθέσεων μέσω Signal πλήττει υψηλόβαθμους πολιτικούς και διπλωμάτες
«Κανείς δεν περνάει τα Στενά χωρίς την άδειά μας», δήλωσε ο υπουργός Πολέμου των ΗΠΑ
«Η Ελλάδα παίζει ήδη ρόλο σταθεροποιητή και την επόμενη μέρα θα είναι ακόμη πιο κρίσιμη», τόνισε στην ATHENS VOICE o Αμερικανός διπλωμάτης
Έχετε δει 20 από 200 άρθρα.