Σε «πρωτοφανή επίπεδα» οι καταστροφές στην Τζαμάικα
Κοσμος
Κυκλώνας Μελίσα: Πάνω από 30 οι νεκροί σε Αϊτή, Τζαμάικα, Δομινικανή Δημοκρατία, Παναμά
Σε «πρωτοφανή επίπεδα» οι καταστροφές στην Τζαμάικα
Μέχρι στιγμής έχουν καταγραφεί τρεις νεκροί και δεκάδες τραυματίες
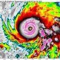
Ένας από τα ισχυρότερα φαινόμενα που έχουν καταγραφεί ποτέ
Ο τυφώνας Μελίσα πλησιάζει με ανέμους 280 χλμ/ώρα - Αναμένονται καταστροφικές πλημμύρες και κατολισθήσεις
Πλησιάζει την Τζαμάικα, προειδοποιήσεις για καταστροφικές πλημμύρες
Σε τι διαφέρουν μεταξύ τους και γιατί είναι τόσο επικίνδυνοι
Τη μεγαλύτερη εκκένωση στην ιστορία της βιώνει η Φλόριντα
Γιατί ο κυκλώνας αυτός είναι τόσο ισχυρός
Το βίντεο που κάνει το γύρο του διαδικτύου
Τα νερά θα φτάσουν τα 4,5 μέτρα - Προ των πυλών ένας από τους πιο ισχυρούς κυκλώνες του αιώνα